Ciência, Política e Sociedade
Menu
Pular para o conteúdo
Inicial
Sobre o Blog
Pesquisa
Pesquisar por:
irma 3
setembro 11, 2017
/
Marcos Pędłowski
Navegação de Posts
←
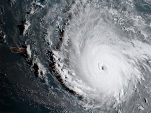
Furacão Irma como exemplo didático do impacto das mudanças climáticas
Deixe um comentário
Cancelar resposta
Δ
Comentário
Assinar
Assinado
blogdopedlowski.com
Junte-se a 540 outros assinantes
Cadastre-me
Já tem uma conta do WordPress.com?
Faça login agora.
blogdopedlowski.com
Assinar
Assinado
Registre-se
Fazer login
Copiar link curto
Denunciar este conteúdo
Ver post no Leitor
Gerenciar assinaturas
Esconder esta barra